Sioux Center, IA
Home Page
Go to Site Search

News Flash

Highway 75 Planners Discuss Key Intersections, Pedestrian Routes

City News Posted on November 23, 2021

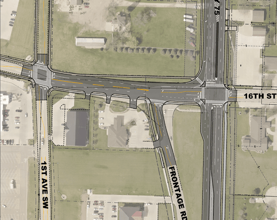
Safety and function are driving planning for several important pieces of Sioux Center’s Highway 75 redesign. This week, the City Council discussed several significant design details as the community moves toward the highway reconstruction in 2023-24. 

Trent Bruce, of DGR Engineering, shared a design update with the council, highlighting intersections, pedestrian routes, and traffic patterns. 

One intersection receiving attention is 16th Street SW, which links Highway 75 to the commercial area to the west. The proposed design includes additional lanes on that block of 16th Street, preparing for growth in traffic in that area as it continues to develop. 

“When we started to look at the design, we felt that we needed to look at this more wholistically,” Bruce said. “The design we were working with, just at the intersection, was not really set up for future development as you would expect for the area west of the highway.”

Safe pedestrian routes and paths continue to be a focus. The design includes 10 pedestrian crossings with rapid-flashing beacons planned and five crossings at traffic signal intersections. Bruce shared that one crossing had been moved from 5th Street South to 4th Street South based on public feedback, with people requesting that a crossing be available at 4th Street near Bethel Christian Reformed Church.

One traffic pattern that may change as part of this project is related to the Post Office’s drop boxes. Currently the boxes are just off Highway 75, but they may move to the back of the post office property to be accessible off of 1st Ave East. This proposed change has yet to receive final approval.

Bruce also reviewed the project timeline with the council. He reported that the right of way process with the DOT contacting property owners will likely happen later this fall or early in 2022, a bit later than anticipated. Final design will continue through summer of 2022, and bid letting is set for January 2023. Construction is anticipated in 2023-24, likely between April 1 to mid-November of those years, and project completion is set for 2025.


  1. Sioux Center Home Page

    Providing excellent quality of life and municipal services through a spirit of progressive cooperation.

Contact Us

  1. Sioux Center City Offices
    335 1st Avenue NW
    Sioux Center, IA 51250

    Phone: 712-722-0761
    Contact Us

    M-Th: 7:30 a.m.-4:30 p.m.
    F: 7:30 a.m.-4 p.m.

Arrow Left Arrow Right
Slideshow Left Arrow Slideshow Right Arrow